Whitsundays Popular Fish Species

The Whitsunday Islands are well-known for many things. Icons such as Heart Reef, the Great Barrier Reef's Bait Reef and Langford Reef, Whitehaven Beach and Hill Inlet are often top attractions, but there is one more that is just as exciting that often gets left off must-see lists.
It is actually the lifeforms which surround these landmarks; the marine life that plays a key role in the entire ecosystem of the ocean and its reefs. The Whitsundays are famous for the types of fish that dwell in its reefs and waters and, more often than not, people from all around the world visit the region to swim side by side with these creatures. Amazing species include the clownfish and surgeonfish, made popular by the movie 'Finding Nemo' among many other species, large and small!
Below is a list of some of the iconic fish of the Great Barrier Reef and you are likely to see while snorkelling, swimming or scuba diving in the Whitsundays.
The Whitsundays top fish species:
Maori Wrasse
- This amazing fish is a favourite to see when snorkelling and scuba diving in the Whitsundays. Known for its huge size and mild manners, the friendly Maori Wrasse often come to visit when they see people on the reef. Also known as the humpheaded wrasse, they tend to stay in the same territory for years, even changing sex when their environment requires it! If you're snorkelling in Mantaray Bay, you're likely to meet our local favourite "George," and grab a selfie with him!

Coral Trout
- Coral trout are found all throughout the Whitsundays and are a favourite, especially among fishers! They are mostly a coral colour with blue spots and tend to live in underwater caves. They are plentiful on the Great Barrier Reef and in the Whitsundays. There are several types of coral trout, and you can read more about them here.

Fusiliers
- You'll see this fish in huge numbers while on the reef! These silver and yellow fish are seen in large schools on most of the reefs and are not shy around people. They are only about the size of your hand and zoom around snorkellers and swimmers on the reef. You can learn more about Fusiliers here.

Clownfish
- The Clownfish is an easy favourite for most people on the reef. The tiny, yet colourful fish are found living inside anemones in family groups, headed up by one breeding female. Ask your crew which reefs are host to these funny fish, and they'll help you find Nemo!

Surgeonfish
- There are many types of surgeonfish that live in the Whitsundays. The most well known of this family is the blue tang, which is also known as the Dory fish, from the movie 'Finding Nemo.' Surgeonfish all have spines at the base of their tale, which they will use in defence.

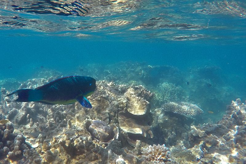
Parrotfish
- There are many parrotfish in the Whitsundays. Easily identified by their colourful markings and beak-like mouth, you can often hear the parrotfish when you are underneath the water. They eat coral polyps as their main source of food, munching on the coral, making a distinctive crunching sound that can easily be heard while snorkelling!

Batfish
- Batfish are a friendly species of fish that are often spotted hanging around the back of boats. As curious creatures, when a boat pulls up, they often swim over to see what's going on and have a munch on the algae that grows on the bottom of the boat. They are triangular in shape with black and yellow stripes.

This is just a small sample of some of the fish species you may see while snorkelling or diving in the Whitsundays. There are thousands of species of fish in the Great Barrier Reef Marine Park, meaning you will always be discovering something new and exciting as you make your way around from reef to reef.
Check out some of the other cool animals you can find in the Whitsundays here!